新たな防火規制の指定区域図(北区)
- 更新日
●北区-1
平成19(2007)年4月9日告示 平成19(2007)年6月1日施行
●北区-2
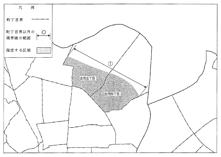
平成19(2007)年4月9日告示 平成19(2007)年6月1日施行
| 図番号 | 図示された 境界線の 範囲の番号 |
境界線の種類 | 備考 |
|---|---|---|---|
| 北区-2 | ① | 道路の北側の境界線 | 区道1285号 |
●北区-3
平成19(2007)年4月9日告示 平成19(2007)年6月1日施行
| 図番号 | 図示された 境界線の 範囲の番号 |
境界線の種類 | 備考 |
|---|---|---|---|
| 北区-3 | ① | 線路敷の東側の境界線 | 東京都交通局の線路敷 |
| ② | 道路の中心線 | 区道67号 | |
| ③ | 道路の中心線 | 区道16号 |
●北区-4
平成21(2009)年5月29日告示 平成21(2009)年7月1日施行
| 図番号 | 図示された 境界線の 範囲の番号 |
境界線の種類 | 備考 |
|---|---|---|---|
| 北区-4 | ① | 河川管理通路の東側の境界線 | |
| ② | 高潮防潮扉施設の境界線 |
●北区-5
平成26(2014)年4月30日告示 平成26(2014)年6月1日施行
| 図番号 | 図示された 境界線の 範囲の番号 |
境界線の種類 | 備考 |
|---|---|---|---|
| 北区-5 | ① | 道路の中心線 | 特別区道北第2018号 |
●北区-6
平成27(2015)年1月30日告示 平成27(2015)年4月1日施行
| 図番号 | 図示された 境界線の 範囲の番号 |
境界線の種類 | 備考 |
|---|---|---|---|
| 北区-6 | ① | 行政界の境界線 | 北区と豊島区との境界 |
| ② | 道路の中心線 | 特別区道北16号 | |
| ③ | 都市計画道路の中心線 | 東京都市計画道路幹線街路補助線街路第181号線 | |
| ④ | 道路の中心線 | 特別区道33―810 |
●北区-7
平成27(2015)年12月17日告示 平成28(2016)年2月1日施行
| 図番号 | 図示された 境界線の 範囲の番号 |
境界線の種類 | 備考 |
|---|---|---|---|
| 北区-7 | ① | 用途地域の境界線 | 第一種中高層住居専用地域(容積率10分の30)と第一種中高層住居専用地域(容積率10分の15)との境界 |
| ② | 都市計画道路の南側の境界線から30mの線 | 東京都市計画道路幹線街路補助線街路第86号線 | |
| ③ | 用途地域の境界線 | 第一種中高層住居専用地域(容積率10分の15)と近隣商業地域(容積率10分の30)との境界 | |
| ④ | 都市計画道路の北側の境界線から30mの線 | 東京都市計画道路幹線街路補助線街路第86号線 |
●北区-8
令和7(2025)年3月3日告示 令和7(2025)年4月1日施行
| 図番号 | 図示された 境界線の 範囲の番号 |
境界線の種類 | 備考 |
|---|---|---|---|
| 北区-8 | ① | 地区計画の境界線 | 志茂地区防災街区整備地区計画の境界線 |
●北区-9
令和7(2025)年3月3日告示 令和7(2025)年4月1日施行
| 図番号 | 図示された 境界線の 範囲の番号 |
境界線の種類 | 備考 |
|---|---|---|---|
| 北区-9 | ① | 地区計画の境界線 | 十条北地区地区計画の境界線 |